- Home
- News
- General News
- X-rays reveal an...
X-rays reveal an unfinished self-portrait by Rembrandt van Rijn
01-12-2011
Studies at the ESRF and at Brookhaven National Laboratory have helped to reveal a hidden painting, thought to be a self-portrait by Rembrandt, below an unknown painting entitled Old Man with a Beard.
Share
On Friday 2 December 2011 an unknown painting by Rembrandt is being presented in the Rembrandt House Museum (Amsterdam). The small panel, Old Man with a Beard was painted by Rembrandt around 1630, at the end of his time in Leiden. The Rembrandt House Museum has the painting on loan from a private collector.
The research into the painting and the attribution to Rembrandt will be explained at length during the presentation by Ernst van de Wetering (Emeritus Professor of Art History at the University of Amsterdam and head of the Rembrandt Research Project), Martin Bijl (restorer), Joris Dik (professor at the Delft University of Technology) and Koen Janssens (professor at the University of Antwerp). Images of the painting will also be available at the presentation.
Ernst van de Wetering is convinced of the authenticity of this work on the grounds of the technical similarities in painting style to Rembrandt’s paintings dating from around 1630.
There is also a copy of the painting that must have been made by one of the apprentices in Rembrandt’s studio. The same image appears in a reproductive print of 1633, with an inscription stating that it was made by Rembrandt. But the most conclusive evidence comes from scientific investigations which have found an unfinished self-portrait by Rembrandt under the paint surface.
A first hint of the self-portrait was revealed when the painting was scanned at ESRF beamline ID17 using an X-ray absorption imaging technique, specifically dual energy K-edge subtraction (KES). KES allowed a quick visualisation of the distribution of heavy elements in the paintings. Heavy elements are found notably in pigments that occur in fleshtone colours such as lead white (Pb, lead) and vermillion (Hg, mercury). "It was very unusual to study a painting at the medical beamline", explained Alberto Bravin, scientist in charge of the beamline. He continued, "Our beamline was developed for medical studies on humans and has unique properties such as a wide beam and high energy, which made it ideal for detecting metallic elements such as lead and mercury in the painting".
KES imaging is a technique implemented at ID17 for human angiography. KES involves imaging the sample using two X-ray beams of energies bracketing the absorption edge of the element sought in an object (Absorption edges are 83.1 keV for mercury and 88.0 keV for lead). The X-ray beam at ID17 is 15 cm wide, monochromatic and tuneable with continuity till high energies (100 keV).
Subsequent measurements at the Brookhaven National Laboratory (BNL) in New York used macro-scanning X-ray fluorescence spectrometry (MA-XRF), a technique first applied to paintings by Professor Koen Janssens (University of Antwerp) and Professor Joris Dik (Delft University of Technology). These experiments took advantage of a newly-developed fluorescence microprobe system, which enables large area surfaces to be scanned with high definition. The XRF technique detects the pigments in hidden layers of paint, making it possible to record overpainted compositions photographically. This new technology has previously resulted in spectacular discoveries in paintings by Francisco Goya and Vincent van Gogh.
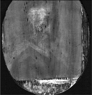
The copper distribution from the XRF analysis of the Old Man with a Beard painting revealed the contour lines of a beardless, seemingly younger male figure wearing a beret. Significant similarities between the outline of this figure, and other works by Rembrandt lead to the conclusion that Old Man with a Beard was painted over an unfinished self portrait.
The combination of synchrotron studies and art history detective work has led the researchers to attribute the Old Man with a Beard to Rembrandt. When asked how the synchrotron studies helped arrive at this final conclusion, Professor Koen Janssens replied, "To our great surprise, next to the Pb, Hg and Fe images, which reflect largely what you can see with the naked eye on the surface in respect to the whitish/pink fleshtones and brownish areas, the Cu distribution revealed a different shape: the outline of a man wearing a beret. Actually, we did not realise at first that this particular shape was so meaningful. It was Prof. Van de Wetering who pencilled in the outline and immediately saw the parallel with other self-portraits of Rembrandt."
Top image: Photo of painting Old Man with a Beard (Credit: Rembrandt House Museum, Amsterdam).





